Σελίδες

Τετάρτη 20 Νοεμβρίου 2013

Φυσικές καταστροφές: Τα χειρότερα έπονται;

ΠΗΓΗ: http://www.pentapostagma.gr/2013/11/fysikes-katastrofes-ta-xeirotera-epontai.html#ixzz2lCdT3TSG


  
Η πρώτη φυσική καταστροφή που μπορεί να έχει πάνω από ένα εκατομμύριο θύματα θα μπορούσε να συμβεί μέσα σε λίγα χρόνια.
Κανένας τυφώνας, πλημμύρα ή ξηρασία οπουδήποτε στον κόσμο δεν μπορεί να κατηγορηθεί για την υπερθέρμανση του πλανήτη, αλλά η αδυσώπητη άνοδος της παγκόσμιας θερμοκρασίας είναι ένας δείκτης ότι τα χειρότερα έπονται. Κυκλώνες, τυφώνες και τυφώνες είναι φαινόμενα που εξαρτώνται από τη θερμοκρασία.
Γίνονται όλο και πιο επικίνδυνα, καθώς οι θερμοκρασίες της θάλασσας ανεβαίνουν. Καθώς η μέση παγκόσμια θερμοκρασία αυξάνεται, το ίδιο συμβαίνει και με την πιθανότητα ολοένα και περισσότερο ακραίας θερμοκρασίας τοπικά. Το ίδιο και η εξάτμιση και με η ικανότητα του αέρα να μεταφέρει όλο και μεγαλύτερες ποσότητες υδρατμών.
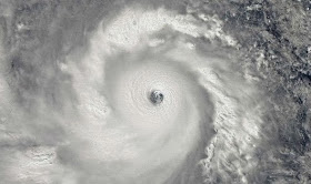
Έτσι, το μάθημα του τυφώνα Χαϊγιάν που έπληξε τις Φιλιππίνες με απαράμιλλη μανία την Παρασκευή, είναι ότι θα έρθουν κι άλλα, με περισσότερους θανάτους, περισσότερη καταστροφή, πιο διαλυμένες οικονομίες.
Αυτό θα ήταν αλήθεια ακόμη και χωρίς την υπερθέρμανση του πλανήτη. Το ποσοστό αύξησης του πληθυσμού μπορεί να μειώθηκε, αλλά κάθε 60 λεπτά υπάρχουν επιπλέον 8.000 άτομα στον κόσμο: περίπου 75 εκατομμύρια κάθε χρόνο.
Τα περισσότερα από αυτά βρίσκονται στον αναπτυσσόμενο κόσμο και δεδομένου ότι τόσο μεγάλο μέρος του αναπτυσσόμενου κόσμου είναι μέσα και γύρω από τους τροπικούς, όπου οι κυκλώνες είναι ένας εποχιακός κίνδυνος, αυτό σημαίνει ότι θα υπάρχουν περισσότερα πιθανά θύματα στην πορεία, σε κάθε καταστροφή που σχετίζεται με το κλίμα.
Για πρώτη φορά στην ανθρώπινη ιστορία, οι περισσότεροι άνθρωποι συγκεντρώνονται στις πόλεις και δεν είναι διασκορπισμένοι στην ύπαιθρο, ενώ η συγκέντρωση αυτή αναμένεται να συνεχιστεί μέχρι σχεδόν τα δύο τρίτα όλης της ανθρωπότητας να ζει στις πόλεις. Αυτό σημαίνει ότι κάθε τυφώνας που χτυπά μια αστική περιοχή θα βρίσκει περισσότερους ανθρώπους στο δρόμο του.
Αλλά περισσότερο από 2 δισεκατομμύρια άνθρωποι πρέπει να επιβιώσουν με εισόδημα που δεν υπερβαίνει το 2 δολάρια την ημέρα  και αυτοί επίσης συνωστίζονται σε πόλεις μέσα και κοντά στους τροπικούς.
Αυτοί οι άνθρωποι είναι πιο πιθανό να ζουν σε ακατάλληλες συνθήκες στέγασης, κάποιες από τις οποίες κατασκεύασαν ξεδιάντροπα και πρόχειρα άπληστοι ιδιοκτήτες και οι οποίες εγκρίθηκαν από διεφθαρμένους αρχές, ή σε παραγκουπόλεις σε ασταθείς ή περιθωριακές εκτάσεις που κινδυνεύουν από πλημμύρες και κατολίσθηση κάθε φορά που ανοίγουν οι ουρανοί.
Τα σχολεία που κατασκευάζονται για τα παιδιά τους, ενδέχεται να καταρρεύσουν σε σεισμό ή κυκλώνα, τα νοσοκομεία που διαθέτουν είναι πιθανό να γίνουν ερείπια, μαζί με τα σπίτια τους.
Η κυβέρνηση των Φιλιππίνων, με μια μακρά και σκληρή εμπειρία στους τυφώνες, είχε μια ολοκληρωμένη στρατηγική καταστροφών, επαρκή προειδοποίηση και ήξερε τι να περιμένει. Το δεύτερο δίδαγμα από τον Χαϊγιάν είναι ότι ακόμη και εκείνοι που είναι έτοιμοι για τις κακές καιρικές συνθήκες μπορεί να χτυπηθούν από κάτι ακόμα χειρότερο.
Το τελικό συμπέρασμα είναι ότι, αργά ή γρήγορα, κάποια απαράμιλλη καταστροφή θα φτάσει με μια ελάχιστη ή χωρίς καμία προειδοποίηση σε κάποια πολυσύχναστη πόλη, που θα διοικείται από μια τυφλή αρχή σε μια χώρα που θα διοικείται από μια διεφθαρμένη ή βάναυση ολιγαρχία.
Θα μπορούσε να είναι η πρώτη καταστροφή που θα σκοτώσει πάνω από ένα εκατομμύριο ανθρώπους και θα μπορούσε να συμβεί εντός των προσεχών ετών. Μπορεί να υπάρχουν και χειρότερα και όχι μόνο εξαιτίας της κλιματικής αλλαγής.
theguardian

 

Δεν υπάρχουν σχόλια:

Δημοσίευση σχολίου